Heupdysplasie (HD)
Onder heupdysplasie wordt het volgende verstaan: een te ondiepe heupkom, waardoor de heupkop te veel ruimte heeft om te bewegen. Er is niet één enkele oorzaak voor te geven; meestal is het een combinatie van snelle groei, inspanning, voeding, leefomstandigheden en erfelijke factoren. Bij erfelijke factoren bestaat een aangeboren dysbalans tussen de spieren van het heupgewricht en de groei van bot, waardoor de heupkop niet goed in de kom wordt getrokken. Wat volgt is een abnormale ontwikkeling van het heupgewricht, wat kan leiden tot instabiliteit en daardoor irritatie van het gewrichtskapsel en het kraakbeen op de heupkop met artrose (=slijtage) als eindresultaat.
Artrose aan de heupen uit zich in het algemeen in bothaakjes aan de heupkop, verbreding van de hals van de heupkop (= de aansluiting van de heupkop met de rest van het dijbeen), onregelmatigheden in het bot van de heupkom en luxatie van de heupkop ten opzichte van de heupkom (heup geheel of gedeeltelijk uit de kom).
Verschijnselen bij honden verschillen sterk. Sommige dieren krijgen op jonge leeftijd al hevige pijn in de heupen. Dit kan zich uiten in moeite met opstaan, moeite met springen of traplopen en ‘waggelen’ van het achterwerk bij lopen. Bij andere dieren is het een toevalsbevinding op volwassen leeftijd bij toenemende klachten of als ze zich hebben verstapt en het gewricht geïrriteerd is geraakt. Deze dieren lopen dan acuut heftig kreupel.
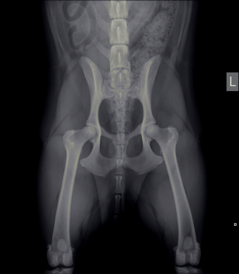
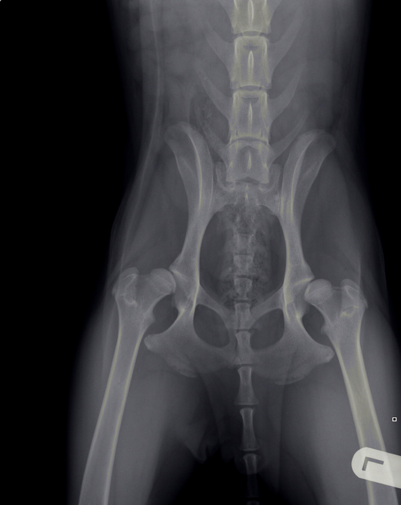
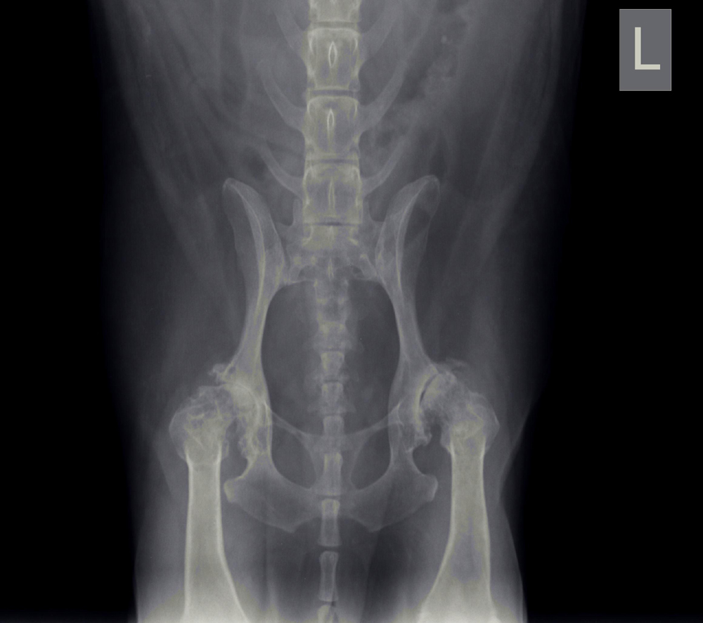
Met behulp van röntgenfoto’s kan de diagnose worden gesteld.



Heupdysplasie bij honden is onder een aantal rassen een toenemend probleem geweest in de foklijnen, onder andere bij Duitse Herders, Sint Bernards, Labrador Retrievers, Golden Retrievers, Duitse Doggen en Rottweilers. Gelukkig wordt er bij het fokken van de dieren steeds meer rekening gehouden met de ‘HD-status’ van de ouders om problemen in de foklijnen te verminderen.
HD-foto’s en beoordeling door de Raad van Beheer
Het is mogelijk om rashonden op 12 of 18 maanden leeftijd te laten testen op heupdysplasie door het maken van röntgenfoto’s van de heupen (onder sedatie). Deze foto’s worden dan door de Raad van Beheer beoordeeld. Belangrijk is dat het stamboomnummer van het dier bekend is, evenals het chipnummer en de volledige (stamboom)naam van het dier.
Meer informatie hierover is te vinden op de website van de Raad van Beheer: www.raadvanbeheer.nl
HD-status
HD A (HD -)
Röntgenologisch vrij van heupdysplasie, dit betekent niet dat de hond geen drager kan zijn van de afwijking.
HD B (HD tc)
(Overgangsvorm) zijn geringe veranderingen passend bij heupdysplasie, maar die bij de fokkerij niet van belang te zijn.
HD C (HD ±)
(Licht positief) duidelijke veranderingen, passend bij het ziektebeeld van heupdysplasie.
HD D (HD +)
(Positief) duidelijke veranderingen, passend bij het ziektebeeld van heupdysplasie.
HD E (HD ++)
(Positief in optima forma) ernstige misvormingen van het heupgewricht.
De afwijkingen die op de röntgenfoto’s te zien zijn, komen niet altijd overeen met de last die de hond van deze aandoening heeft. Honden met aanmerkelijke afwijkingen zijn soms klachtenvrij, terwijl andere honden, met flinke pijn- of bewegingsklachten, soms slechts een beperkte afwijking op de röntgenfoto’s laat zien.