Een chronisch brakende hond
Fanny is een kruising, wonend in Tiel, van bijna 7 jaar oud. Het probleem waar Fanny op een gegeven moment voor bij de dierenarts komt is dat ze sinds een maand wisselende periodes van braken heeft; meestal ’s nachts of ’s morgens. Echter gisteren ging het braken de hele dag door en was ze ook wat sloom. Ze kan hierdoor zeker bestempeld worden als een chronisch brakende hond. Ze had geen diarree en er was geen bloed bij de ontlasting gezien. Haar temperatuur was niet verhoogd. In de buik was ze toch iets gevoelig ter hoogte van de maag. Bij verdere navraag bleek Fanny een maand geleden een waterijsje –inclusief houten stokje- opgegeten te hebben. Het zoontje van de eigenaar had het ijsje laten vallen en Fanny was er als de kippen bij…. Ze hadden het stokje nooit in de ontlasting gezien, maar ook niet altijd de ontlasting gezien.
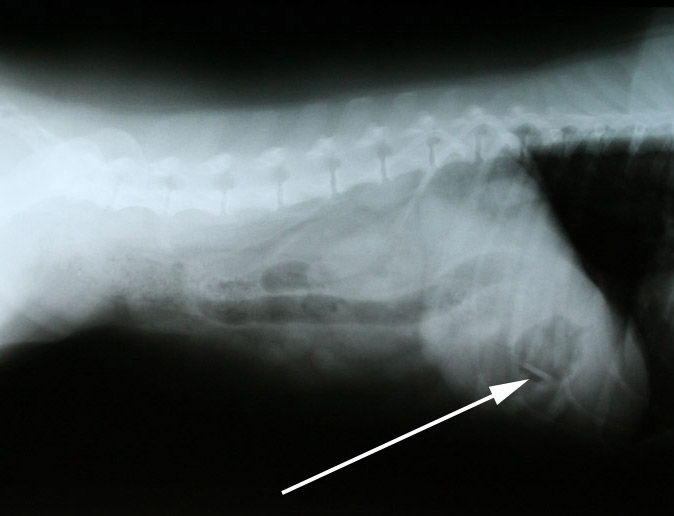
Omdat zo’n vreemd voorwerp zeker wel de oorzaak van de klachten van Fanny zou kunnen zijn en het chronisch braken een reden is voor verder onderzoek, hebben we röntgenfoto’s gemaakt.
Op de ene foto zagen we geen verdachte structuur,


en op de andere foto’s wel:


Met de echo zagen we ook een verdachte structuur:


Op basis van deze beelden hebben we besloten om Fanny te opereren.
Bij het navoelen van de darmen was niks bijzonders te vinden maar in van de maag voelden we inderdaad een harde structuur. De maag werd geopend en we vonden het intacte ijslollystokje. De maagsappen hadden er in de maand dat het stokje in de maag zat alleen voor gezorgd dat de uiteinden zwart geworden waren.
Met Fanny gaat weer alles goed. We hopen dat ze zich voortaan beperkt tot softijsjes…